Dự án The Foresta Khang Điền là một trong những dự án bất động sản đang được quan tâm nhiều trên thị trường hiện nay. Với vị trí đắc địa tại khu vực phía Đông Thành phố Hồ Chí Minh, dự án hứa hẹn mang đến một không gian sống xanh, hiện đại và tiện nghi cho cư dân. Tuy nhiên, bên cạnh những ưu điểm về vị trí và thiết kế, vấn đề pháp lý luôn là mối quan tâm hàng đầu của các nhà đầu tư và người mua nhà. Bài viết này sẽ cung cấp cho bạn một cái nhìn tổng quan và chi tiết về tình hình pháp lý của dự án The Foresta Khang Điền, giúp bạn có thể đưa ra quyết định đầu tư sáng suốt và an toàn.

Dự án The Foresta Khang Điền hiện đang trong giai đoạn hoàn thiện các thủ tục pháp lý cuối cùng. Theo thông tin từ chủ đầu tư, dự án đã được cấp giấy phép xây dựng và đang trong quá trình xây dựng. Tuy nhiên, việc hoàn thiện đầy đủ hồ sơ pháp lý vẫn đang được tiến hành song song với quá trình xây dựng.
Một số giấy tờ pháp lý quan trọng như Quyết định chủ trương đầu tư, Giấy chứng nhận quyền sử dụng đất, và Giấy phép xây dựng đã được cấp cho dự án. Điều này cho thấy dự án đã đáp ứng được các yêu cầu cơ bản về mặt pháp lý để có thể triển khai xây dựng.
Tuy nhiên, vẫn còn một số vấn đề pháp lý đang trong quá trình hoàn thiện, như việc cấp Giấy chứng nhận quyền sở hữu nhà ở (sổ hồng) cho từng căn hộ. Đây là một quá trình phức tạp và thường mất nhiều thời gian, đòi hỏi sự phối hợp chặt chẽ giữa chủ đầu tư và các cơ quan chức năng.
Dự án The Foresta Khang Điền đã được cấp một số văn bản pháp lý quan trọng, bao gồm:
Các văn bản này đóng vai trò quan trọng trong việc đảm bảo tính pháp lý của dự án, tạo cơ sở cho việc triển khai xây dựng và bán hàng.
Mặc dù đã có những tiến triển tích cực về mặt pháp lý, vẫn còn một số vấn đề cần được làm rõ và hoàn thiện:
Việc làm rõ và hoàn thiện các vấn đề pháp lý này sẽ giúp tăng tính minh bạch của dự án, đồng thời bảo vệ quyền lợi của cả chủ đầu tư và người mua nhà.

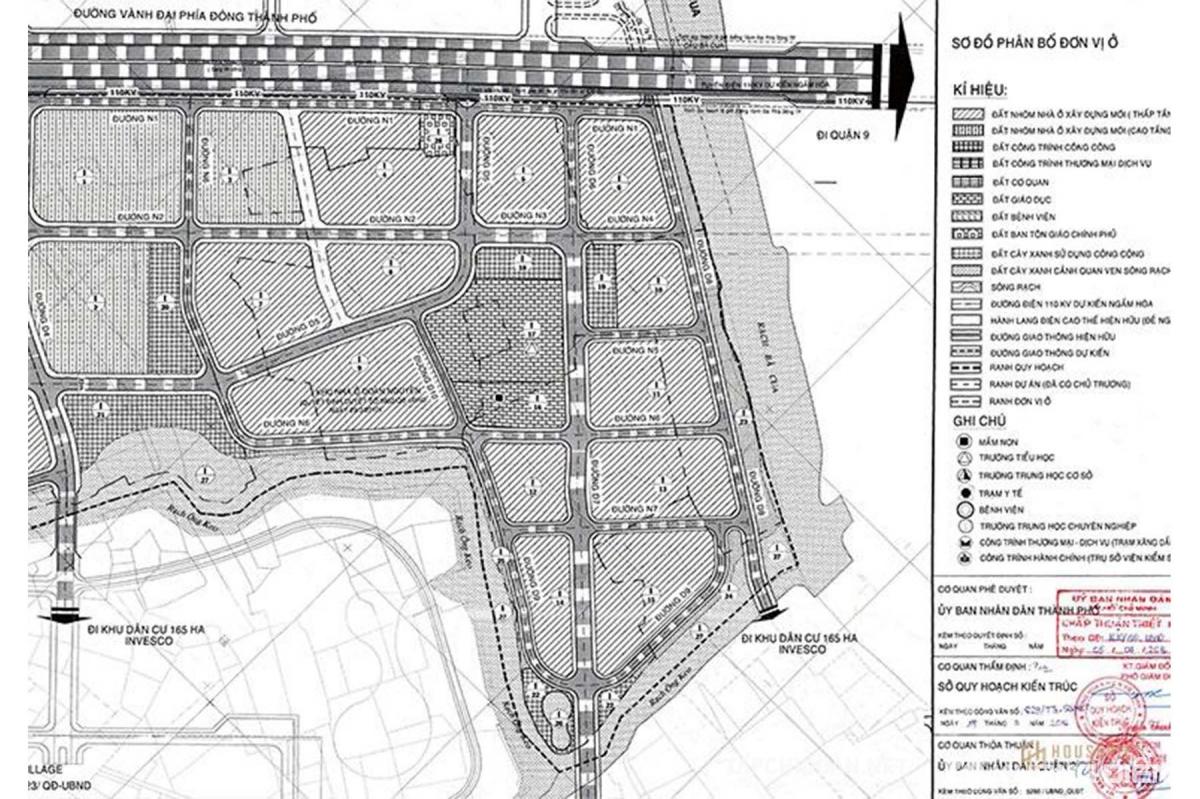
Dự án The Foresta Khang Điền được quy hoạch trên một khu đất rộng lớn với tổng diện tích khoảng 38 hecta. Quy hoạch tổng thể của dự án được thiết kế một cách khoa học và hài hòa, nhằm tạo ra một không gian sống xanh, hiện đại và tiện nghi cho cư dân.
Theo quy hoạch, dự án bao gồm các hạng mục chính sau:
Quy hoạch này đã được cơ quan chức năng phê duyệt và đảm bảo tuân thủ các quy định về quy hoạch đô thị của Thành phố Hồ Chí Minh.
Vấn đề pháp lý đất đai là một trong những yếu tố quan trọng nhất khi xem xét tính pháp lý của một dự án bất động sản. Đối với dự án The Foresta Khang Điền, tình trạng pháp lý đất đai như sau:
Việc sử dụng đất tại dự án The Foresta Khang Điền phải tuân thủ các quy định sau:
Việc tuân thủ các quy định này không chỉ đảm bảo tính pháp lý của dự án mà còn góp phần tạo ra một môi trường sống chất lượng và bền vững cho cư dân.
Hợp đồng mua bán căn hộ là giấy tờ pháp lý quan trọng nhất khi mua nhà tại dự án The Foresta Khang Điền. Hợp đồng này cần phải đảm bảo các yếu tố sau:
Hợp đồng mua bán phải được công chứng theo quy định của pháp luật để đảm bảo tính pháp lý và bảo vệ quyền lợi của cả hai bên.
Giấy chứng nhận quyền sở hữu nhà ở, thường được gọi là sổ hồng, là giấy tờ quan trọng xác nhận quyền sở hữu hợp pháp của người mua đối với căn hộ. Tuy nhiên, việc cấp sổ hồng thường mất một khoảng thời gian sau khi hoàn thành việc mua bán và bàn giao căn hộ. Khi mua căn hộ tại The Foresta Khang Điền, người mua cần lưu ý:
Khi thực hiện giao dịch mua bán căn hộ tại The Foresta Khang Điền, người mua cần lưu giữ đầy đủ các giấy tờ liên quan đến thanh toán, bao gồm:
Các giấy tờ này không chỉ là bằng chứng cho việc thanh toán mà còn có thể cần thiết trong quá trình làm thủ tục cấp sổ hồng sau này.
Khi nhận bàn giao căn hộ, người mua cần đảm bảo có đầy đủ các giấy tờ sau:
Việc lưu giữ và kiểm tra kỹ các giấy tờ liên quan khi mua căn hộ tại The Foresta Khang Điền là rất quan trọng để đảm bảo tính pháp lý và quyền lợi của người mua.
Một trong những rủi ro pháp lý lớn nhất khi đầu tư vào dự án The Foresta Khang Điền là thay đổi quy hoạch. Trong quá trình triển khai dự án, có thể xảy ra thay đổi trong quy hoạch của khu vực, dẫn đến ảnh hưởng đến việc phát triển và sử dụng dự án. Điều này có thể gây ra sự chậm trễ hoặc ngừng lại hoàn toàn dự án, ảnh hưởng đến lợi nhuận và tính khả thi của việc đầu tư.
Tranh chấp pháp lý có thể phát sinh khi có sự không đồng ý giữa các bên liên quan đến dự án, bao gồm chủ đầu tư, cơ quan quản lý nhà nước, và cư dân. Những tranh chấp này có thể dẫn đến các vụ kiện pháp lý kéo dài và ảnh hưởng đến tiến độ và chi phí của dự án.
Trường hợp pháp lý liên quan đến quyền sở hữu đất đai tại dự án The Foresta Khang Điền cũng là một rủi ro cần được quan tâm. Việc không rõ ràng về nguồn gốc đất, giấy tờ chứng nhận quyền sử dụng đất, hay thời hạn sử dụng đất có thể gây ra tranh chấp và ảnh hưởng đến tính pháp lý của dự án.
Biến động thị trường bất động sản cũng là một yếu tố rủi ro pháp lý khi đầu tư vào dự án The Foresta Khang Điền. Thị trường có thể biến đổi không lường trước, ảnh hưởng đến giá cả, thanh khoản, và lợi nhuận của dự án.
Để giảm thiểu rủi ro pháp lý khi đầu tư vào dự án The Foresta Khang Điền, nhà đầu tư cần tham khảo ý kiến của luật sư chuyên nghiệp, nắm vững thông tin về pháp lý và quy hoạch của dự án, cũng như theo dõi và đánh giá thị trường bất động sản một cách cẩn thận.
Trước khi quyết định đầu tư vào dự án The Foresta Khang Điền, nhà đầu tư cần tìm hiểu kỹ về pháp lý và quy hoạch của dự án. Đảm bảo rằng dự án đang hoạt động và phát triển theo đúng quy định của pháp luật, không gặp vấn đề tranh chấp pháp lý hay thay đổi quy hoạch đột ngột.
Trước khi ký kết bất kỳ hợp đồng nào, nhà đầu tư cần kiểm tra kỹ lưỡng các giấy tờ pháp lý liên quan đến dự án, bao gồm giấy chứng nhận quyền sử dụng đất, hợp đồng mua bán, và các văn bản liên quan khác. Đảm bảo rằng mọi thông tin và cam kết đều rõ ràng và hợp pháp.
Để nắm bắt thông tin mới nhất về dự án và giải đáp mọi thắc mắc phát sinh, nhà đầu tư cần duy trì sự liên lạc chặt chẽ với chủ đầu tư và cơ quan quản lý địa phương. Điều này giúp đảm bảo rằng nhà đầu tư luôn nắm vững tình hình và có biện pháp xử lý kịp thời khi có vấn đề phát sinh.
Việc tìm sự tư vấn từ luật sư chuyên nghiệp trong lĩnh vực bất động sản là một điều cần thiết khi đầu tư vào dự án The Foresta Khang Điền. Luật sư sẽ giúp nhà đầu tư hiểu rõ về các vấn đề pháp lý liên quan, đưa ra các giải pháp và lời khuyên hợp lý để bảo vệ quyền lợi và lợi ích của nhà đầu tư.
Trên đây là những thông tin về pháp lý dự án The Foresta Khang Điền mà nhà đầu tư cần lưu ý. Việc hiểu rõ về pháp lý và quy hoạch của dự án, kiểm tra kỹ lưỡng giấy tờ pháp lý, đánh giá rủi ro và tìm sự tư vấn từ chuyên gia là những bước quan trọng giúp nhà đầu tư đưa ra quyết định đầu tư chính xác và an toàn. Chúc các nhà đầu tư thành công trong việc đầu tư vào dự án The Foresta Khang Điền!